750 E Markland Avenue, Kokomo, IN 46901 (MLS # 202412924)
|
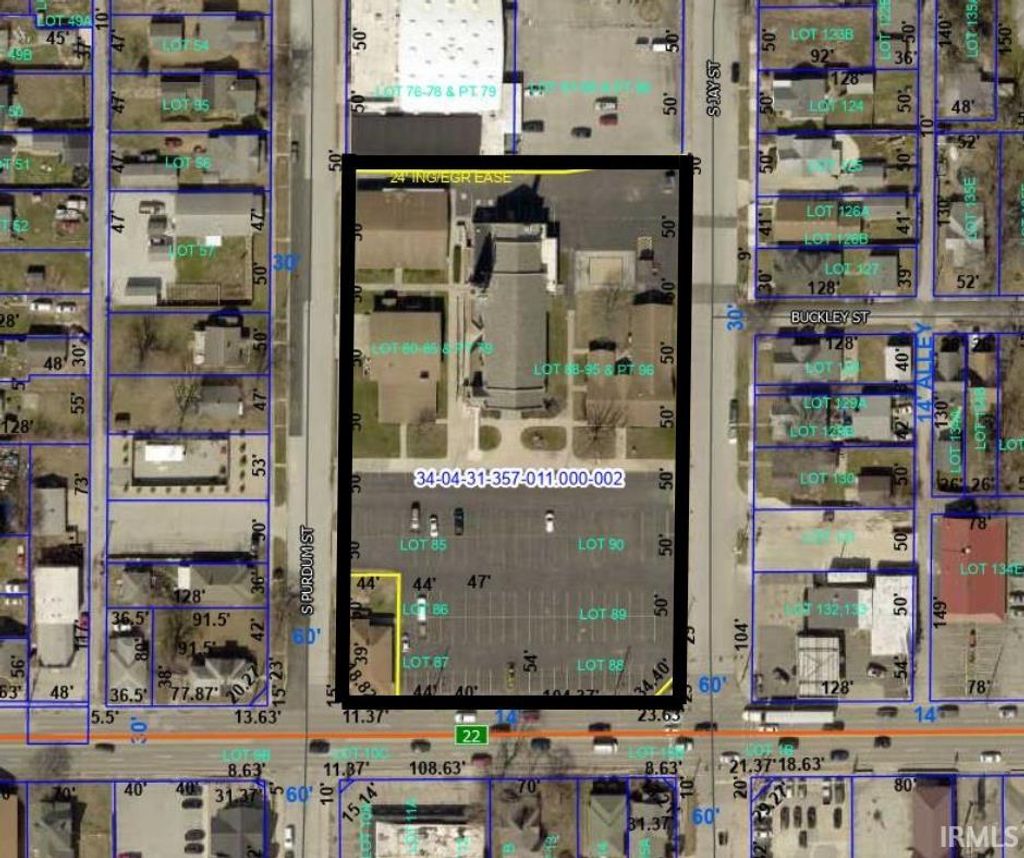
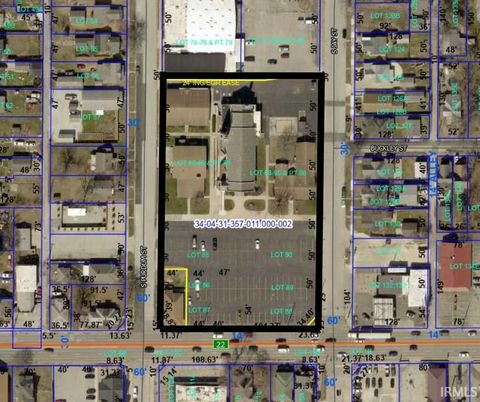
One of a kind opportunity on Markland Avenue! With approximately 29,000 sq ft. This campus includes a beautiful church facility, which seats over 400 people, office space and fellowship hall with a full commercial kitchen for gatherings. In addition to the church there are 3 separate buildings which offer office space, meeting rooms, conference rooms, kitchens and living quarters. There is also a 3 bedroom residential home. All of this is beautifully situated on 2.6 acres with an abundance of parking and opportunity!!!
| DAYS ON MARKET | 553 | LAST UPDATED | 6/16/2025 |
|---|---|---|---|
| TRACT | None | YEAR BUILT | 1970 |
| COUNTY | Howard | STATUS | Active |
| PROPERTY TYPE(S) | Commercial |
| ADDITIONAL DETAILS | |
| AIR | Central Air |
|---|---|
| AIR CONDITIONING | Yes |
| APPLIANCES | Water Heater |
| BASEMENT | Full, Partially Finished, Yes |
| CONSTRUCTION | Stone |
| HEAT | Hot Water, Natural Gas |
| LOT | 2.6 acre(s) |
| LOT DIMENSIONS | 0 |
| PARKING | Asphalt, Paved, Private |
| SEWER | Public Sewer |
| STORIES | 2 |
| SUBDIVISION | None |
| WATER | Public |
MORTGAGE CALCULATOR
TOTAL MONTHLY PAYMENT
0
P
I
*Estimate only
Listed with Paul Wyman, The Wyman Group, Cell: 765-419-1021
The data relating to real estate for sale on this web site comes in part from the Internet Data exchange (“IDX”) program of the Indiana Regional MLS®. IDX information is provided exclusively for consumers’ personal, non-commercial use, that it may not be used for any purpose other than to identify prospective properties consumers may be interested in purchasing. Data is deemed reliable but is not guaranteed accurate by the MLS.
Copyright© 2025 IRMLS. All rights reserved.
Last Updated On: 10/29/25 11:18 AM PDT
Walk Score provided by walkscore.com
Copyright© 2025 IRMLS. All rights reserved.
Last Updated On: 10/29/25 11:18 AM PDT
Walk Score provided by walkscore.com
This IDX solution is (c) Diverse Solutions 2025.
| SATELLITE VIEW |
| / | |
We respect your online privacy and will never spam you. By submitting this form with your telephone number
you are consenting for Steve
Schwering to contact you even if your name is on a Federal or State
"Do not call List".

