East 550 N County Road, Kokomo, IN 46901 (MLS # 202600564)
|
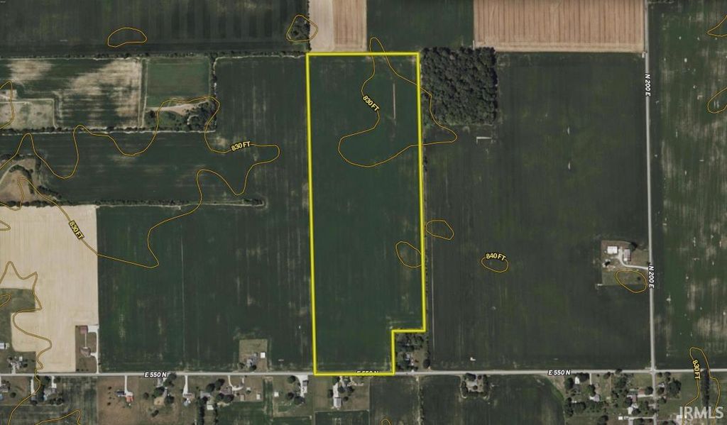
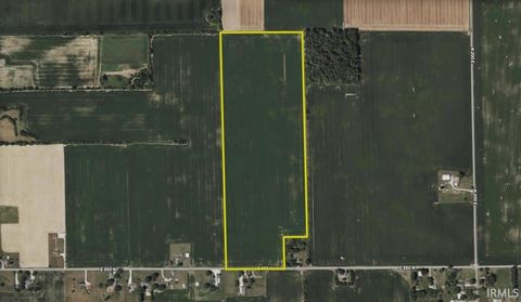
Located in northern Howard County, this 48.13-acre tract offers a well-maintained, flat, and highly productive tillable farm with long-term agricultural value. The property is currently operated in a corn, soybean, and wheat crop rotation, reflecting strong management and consistent yields. Soil composition includes a desirable mix of silty clay loam, silt loam, and muck soils, supporting both productivity and versatility across crop types. With an average NCCPI of 72.2 and an impressive WAPI of 163.29, this farm demonstrates above-average soil performance and income potential for the area. The level topography allows for efficient farming practices, ease of equipment access, and reduced erosion concerns. In addition to its agricultural appeal, the property offers a potential build site, making it suitable for those looking to combine farming with a rural residence or future investment. Whether expanding an existing farming operation, securing quality tillable acres, or planning for future development, this Howard County farm presents a strong opportunity in a desirable location.
| DAYS ON MARKET | 50 | LAST UPDATED | 1/7/2026 |
|---|---|---|---|
| TRACT | None | YEAR BUILT | 0 |
| COUNTY | Howard | STATUS | Active |
| PROPERTY TYPE(S) | Lot/Land/Acreage |
| School District | Northwestern School Corp. |
|---|---|
| Elementary School | Northwestern |
| Jr. High School | Northwestern |
| High School | Northwestern |
| ADDITIONAL DETAILS | |
| LOT | 48.13 acre(s) |
|---|---|
| LOT DESCRIPTION | Level |
| LOT DIMENSIONS | 855 x 2482 |
| SEWER | None |
| SUBDIVISION | None |
| TAXES | 2194 |
| UTILITIES | Electricity Available |
MORTGAGE CALCULATOR
TOTAL MONTHLY PAYMENT
0
P
I
*Estimate only
Listed with Andrew Malott, Whitetail Properties Real Estate, Cell: 574-225-2699
The data relating to real estate for sale on this web site comes in part from the Internet Data exchange (“IDX”) program of the Indiana Regional MLS®. IDX information is provided exclusively for consumers’ personal, non-commercial use, that it may not be used for any purpose other than to identify prospective properties consumers may be interested in purchasing. Data is deemed reliable but is not guaranteed accurate by the MLS.
Copyright© 2026 IRMLS. All rights reserved.
Last Updated On: 2/26/26 12:09 AM PST
Walk Score provided by walkscore.com
Copyright© 2026 IRMLS. All rights reserved.
Last Updated On: 2/26/26 12:09 AM PST
Walk Score provided by walkscore.com
This IDX solution is (c) Diverse Solutions 2026.
| SATELLITE VIEW |
| / | |
We respect your online privacy and will never spam you. By submitting this form with your telephone number
you are consenting for Steve
Schwering to contact you even if your name is on a Federal or State
"Do not call List".

